조황관리HOME / 조황관리 / 상세정보

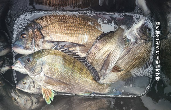
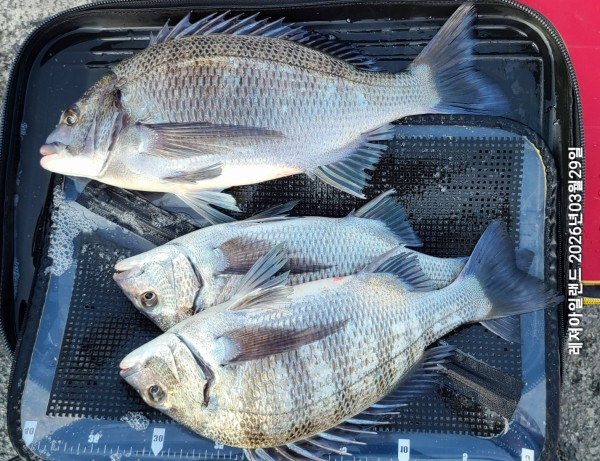
제목 : 주말/ 덕우도,황제도 감성돔 조황 ^^
등록일 : 2026-03-31




20260329_135134.jpg


1774756306223.jpg


20260329_132016.jpg


20260329_135244.jpg


20260329_135331.jpg


1774665070383.jpg


20260328_130950.jpg


20260328_135028.jpg


1774756306680.jpg

*목,금/감성돔을 대상으로/덕우도경유 황제도 출조 합니다.

*네이버밴드/레져아일랜드에 들어 오시면 보다 많은 정보를 보실수 있습니다.







*** 장흥 레져아일랜드 예약 안내 ***


예약문의 : 010-9567-1126

오시는길 : 전남 장흥군 회진면 해양낚시길 131 레져아일랜드

모바일.gif 

Top