조황관리HOME / 조황관리 / 상세정보

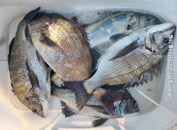
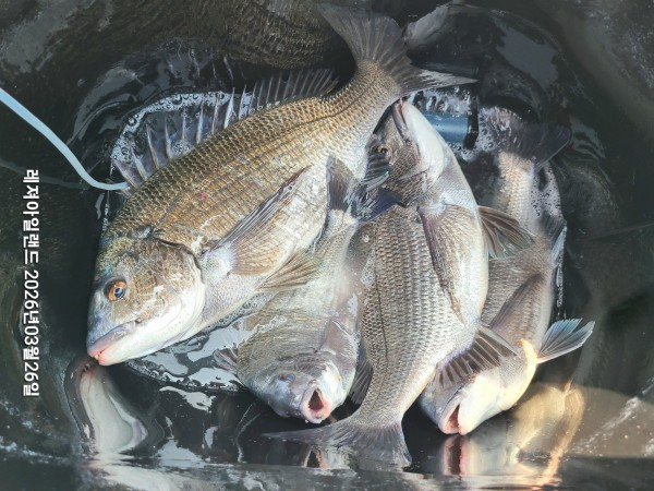
제목 : 목/황제도 꾸준히 이어가는 덩치급 감성돔 마릿수 조황 ^^
등록일 : 2026-03-26




20260326_134317.jpg


20260326_131358.jpg


20260326_131102.jpg


20260326_130439.jpg


20260326_131050.jpg


1774465023039.jpg


20260326_131342.jpg


20260326_131552.jpg


20260326_133515.jpg


1774465022686.jpg


20260326_134122.jpg


20260326_134204.jpg

*금,토,일 감성돔을 대상으로 덕우도경유 황제도 출조 합니다.

*네이버밴드/레져아일랜드에 가입하시면 보다 많은 소식을 보실 수 있습니다.






*** 장흥 레져아일랜드 예약 안내 ***


예약문의 : 010-9567-1126

오시는길 : 전남 장흥군 회진면 해양낚시길 131 레져아일랜드

모바일.gif 

Top