조황관리HOME / 조황관리 / 상세정보

제목 : 황제도/음력2월5일 영등 시즌이 깊어갈수록 더욱 풍성해진다/목요일부터 ~~
등록일 : 2026-03-23




20260323_122302.jpg


20260323_125533.jpg


20260323_130651.jpg


20260323_124021.jpg


1774235938540.jpg


20260323_122226.jpg


20260323_123144.jpg


20260323_124200.jpg


20260323_124409.jpg


20260323_125318.jpg


20260323_125436.jpg


20260323_125754.jpg


20260323_130334.jpg


20260323_130617.jpg


20260323_132147.jpg


20260323_143335.jpg

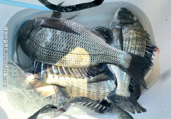
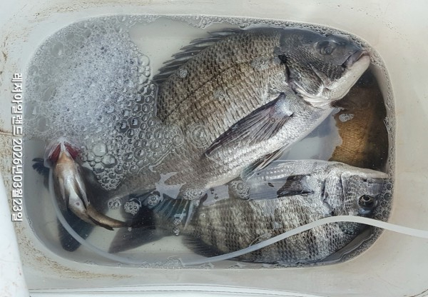
*영등 시즌 답지 않게 출조객 전원 감성돔과의 찐한 만남
 터트리고,빠지고,펴지고 ㅠㅠ
 좋은 기상과 함께 즐낚하고 철수 하였습니다.

*금,토,일 덕우도경유 황제도 출조 합니다.

*네이버밴드/레져아일랜드에서 더많은 소식을 보실수 있습니다.






*** 장흥 레져아일랜드 예약 안내 ***


예약문의 : 010-9567-1126

오시는길 : 전남 장흥군 회진면 해양낚시길 131 레져아일랜드

모바일.gif 

Top