조황관리HOME / 조황관리 / 상세정보

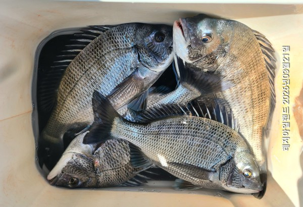
제목 : 토/ 황제도 54,50,49... 등등 꾸준히 이어가는 감성돔 조황 / 월요일 출조 합니다
등록일 : 2026-03-21




20260321_124836.jpg


20260321_130041.jpg


20260321_125258.jpg


20260321_125851.jpg


1774064643486.jpg


20260321_125706.jpg


1774064622180.jpg


20260321_124752.jpg


20260321_131916.jpg


20260321_130611.jpg


20260321_130831.jpg


20260321_131243.jpg

*월요일 덕우도경유 황제도 출조 합니다.

*네이버밴드/레져아일랜드에 가입하시면 조황정보,출조공지등 보다 빠르고,다양한 정보를 확인 하실수 있습니다.






*** 장흥 레져아일랜드 예약 안내 ***


예약문의 : 010-9567-1126

오시는길 : 전남 장흥군 회진면 해양낚시길 131 레져아일랜드

모바일.gif 

Top