조황관리HOME / 조황관리 / 상세정보

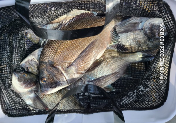
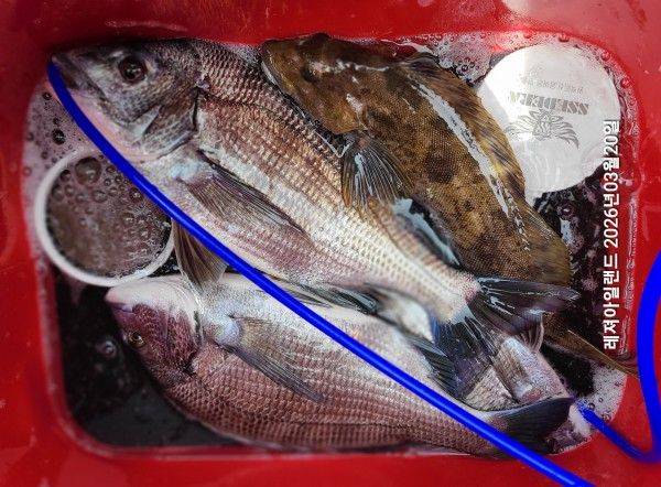
제목 : 금/황제도권 꾸준한 마릿수 감성돔 조황/ 월 출조 합니다.^^
등록일 : 2026-03-20




20260320_125010.jpg


20260320_124919.jpg


20260320_130303.jpg


1773968732312.jpg


20260320_123516.jpg


20260320_123902.jpg


20260320_124222.jpg


20260320_124517.jpg


20260320_130028.jpg


20260320_130639.jpg


20260320_131004.jpg


1773967879902.jpg

*포인트 편차 없이 꾸준한 조황을 보여 주네요

*월/좋은 기상,물때속에 덕우도,황제도 출조 합니다.

*네이버밴드/레져아일랜드에 가입 하시면 보다 빠른 조황정보,출조공지를 확인 하실수 있습니다






*** 장흥 레져아일랜드 예약 안내 ***


예약문의 : 010-9567-1126

오시는길 : 전남 장흥군 회진면 해양낚시길 131 레져아일랜드

모바일.gif 

Top