조황관리HOME / 조황관리 / 상세정보

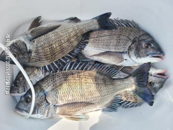
제목 : 화/ 황제도권 감성돔 조황^^/금요일 황제도 출조 합니다.^^
등록일 : 2026-03-18

20260317_124011.jpg


1773722885943.jpg


20260317_124342.jpg


20260317_143754.jpg


20260317_124539.jpg


20260317_130057.jpg


20260317_124702.jpg


20260317_125314.jpg


20260317_125354.jpg


20260317_125403.jpg

*금요일 감성돔을 대상으로 덕우도경유 황제도 출조 합니다.

*네이버밴드/레져아일랜드에 들어 오시면 보다 빠르게 조황,출조정보를 확인 하실수 있습니다.






*** 장흥 레져아일랜드 예약 안내 ***


예약문의 : 010-9567-1126

오시는길 : 전남 장흥군 회진면 해양낚시길 131 레져아일랜드

모바일.gif 

Top