조황관리HOME / 조황관리 / 상세정보

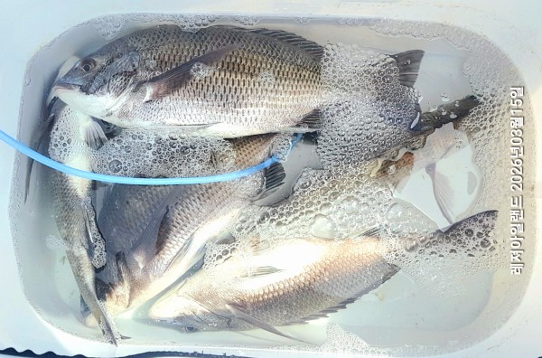
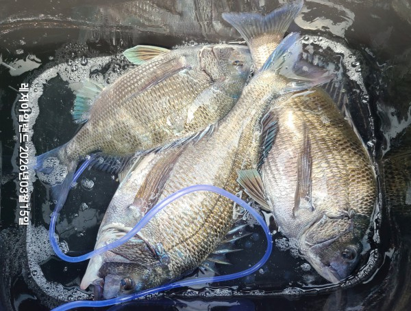
제목 : 일요일/ 황제도권 꾸준한 감성돔 조황/ 화요일 출조 합니다.^^
등록일 : 2026-03-15

20260315_134235.jpg


1773551623226.jpg


20260315_134416.jpg


1773547226620.jpg


1773547208666.jpg


1773547217240.jpg


20260315_124828.jpg


20260315_125748.jpg


20260315_130238.jpg


20260315_130903.jpg


20260315_131515.jpg


20260315_132004.jpg

*화요일 좋은 기상속에 황제도 출조 합니다.^^

*네이버밴드/레져아일랜드에 가입하시면 조황정보,출조정보를 보다 빠르게 확인 하실수 있습니다.






*** 장흥 레져아일랜드 예약 안내 ***


예약문의 : 010-9567-1126

오시는길 : 전남 장흥군 회진면 해양낚시길 131 레져아일랜드

모바일.gif 

Top