조황관리HOME / 조황관리 / 상세정보

제목 : 토/황제도/ 강한 동풍에도 꾸준히 이어가는 대물 감성돔 조황 ^^
등록일 : 2026-03-01




20260228_130237.jpg


20260228_125312.jpg


20260228_132408.jpg


20260228_132036.jpg


20260228_130001.jpg


20260228_130408.jpg


20260228_130657.jpg


20260228_131213.jpg


20260228_132216.jpg


20260228_134526.jpg


1772245174175.jpg


1772254547254.jpg

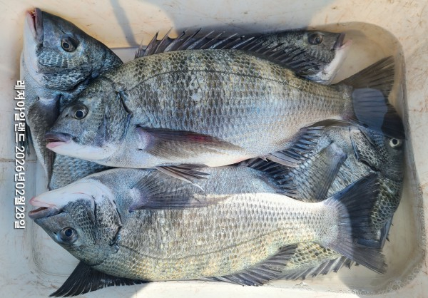
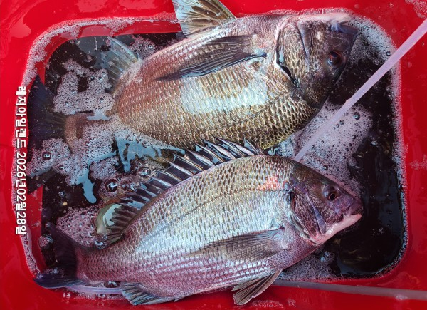
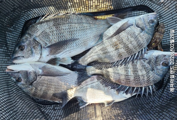
*강한 동풍에 좋지 않은 상황 한정된 포인트
대박 조황까지는 아니어도 거의 모든 포인트에서 감성돔을 만날수 있었습니다.
52,49,47..등등

*수,목 주위보뒤끝 황금 물때에 황제도권 출조 합니다.

*네이버밴드(레져아일랜드)에 가입 하시면 조황정보,출조정보를 보다 빠르게 확인 하실수 있습니
다.






*** 장흥 레져아일랜드 예약 안내 ***


예약문의 : 010-9567-1126

오시는길 : 전남 장흥군 회진면 해양낚시길 131 레져아일랜드

모바일.gif 

Top