조황관리HOME / 조황관리 / 상세정보

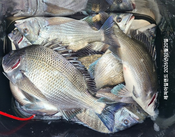
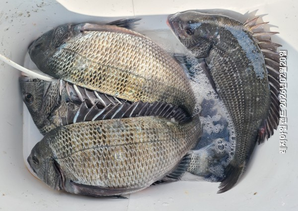
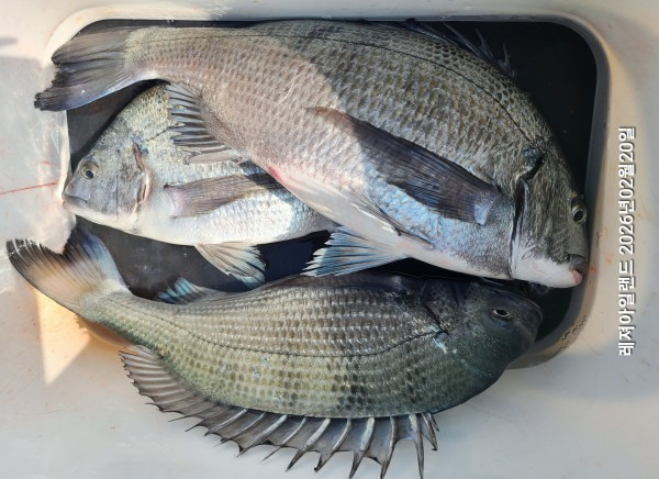
제목 : 금/황제도 54,51,47,48등등 대물 감성돔 본격 시즌 스타트 ^^
등록일 : 2026-02-20




20260220_132515.jpg


20260220_130254.jpg


20260220_131637.jpg


20260220_144343.jpg


20260220_125948.jpg


20260220_131357.jpg


20260220_131749.jpg


20260220_132417.jpg


new_20260220_130140.jpg

*긴연휴뒤끝 평일 소수 인원으로 황제도권 다녀 왔습니다.
 대물 시즌답게 사이즈 좋은 감성돔들이 마릿수로 얼굴을 보여 주네요

*다음 출조는 토요일,월요일 출조 합니다.
*밴드(레져아일랜드)에 가입 하시면 실시간 조황 확인 하실수 있습니다.



 





*** 장흥 레져아일랜드 예약 안내 ***


예약문의 : 010-9567-1126

오시는길 : 전남 장흥군 회진면 해양낚시길 131 레져아일랜드

모바일.gif 

Top